Maine mornings hit different when they’re yours! This 21.2-acre lot near the coast is ready for your cabin, campfire nights, and slow-living dreams.
** BONUS ** PERC test AND Survey have already been completed and will be given to the new owner….. this will save time and $$ when you are ready to build!
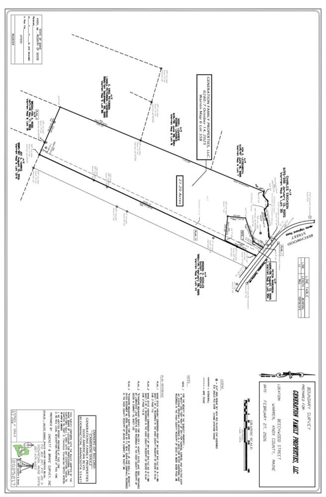
✅ Size: 21.2 acres
✅ Location: Beechwood St, Warren, ME (adjacent to 624–600 Beechwood St)
✅ Access: Paved road frontage
✅ Utilities: Power available nearby
✅ Zoning: Suitable for residential, recreational, or agricultural use
Only 15 minutes from Rockland and the midcoast, you’ll be close to restaurants, shopping, and Maine’s scenic shoreline — all while enjoying the quiet of the countryside.
📍 Highlights:
-
Easily accessible yet private setting
-
Great for building, camping, or investment
-
Abundant wildlife and natural beauty
-
No HOA or deed restrictions
Detailed Info on this Parcel
Looking for a peaceful retreat near the coast?
Just a short drive from Maine’s beautiful shoreline, this 21.2 acre property on Beechwood St in Warren, ME (710–644) gives you space to breathe and dream big. It stretches deep into old-growth forest with room for trails, multiple build sites, or even a long-term family retreat.
What makes this property special?
It’s not just the size, but it’s the feel. The land is mostly dry and quiet, with mature pine and hardwood trees that give it that true Maine vibe. There’s an old logging road on the left side for easy access, and higher ground at the back that’s perfect for building.
At the far edge, you’ll find a natural brook or wetland area, adding a peaceful touch and attracting plenty of deer and wildlife.
Can you build a home here?
Yes! The property already passed a perc test for a 3–4 bedroom home, so you’re ready to plan your build. With paved road access and power at the property line (Central Maine Power), your setup costs stay low and construction is straightforward.
What kind of zoning does it have?
It’s zoned Rural // Shoreland – No minimum square footage required for building. Mobile homes, camping, and RVs are allowed. RV living is permitted up to 120 days per year, or longer if connected to septic, water, and heat. Hunting and livestock (like chickens or horses) are allowed as long as animals are kept under control (not within the shoreland zone).
Is it good for investment or family use?
Absolutely. At 21+ acres, it’s large enough to divide among family, build a main home and guest cabin, or keep part wild as a long-term land investment. It’s the kind of property you can enjoy now and pass down later.
What’s nearby?
Even though it feels secluded, you’re still close to small-town conveniences: Gulf Gas Station – 245 Main St, Jonesport (10–15 min). Hannaford Grocery – Jonesport, ME. Local cafés and hardware stores in Warren and Addison for everyday needs.
What’s the land like day-to-day?
Expect quiet mornings, the sound of the brook in the distance, and deer wandering through at dusk. The old logging road makes exploring easy, and the higher back section gives you that “on top of the world” feeling.
Why should I choose this property?
Because it’s a blank canvas for your next chapter. You can build now or hold it as a long-term investment, this is the kind of place that stays in the family and grows in value over time.
📸 Check out the photos & video below and feel the calm of your own Maine countryside escape!
Easy Drives to Nearby Towns & Cities
- Warren 6 min (4.3 miles)
- Camden 16 min (10.6 miles)
- Rockland 16 min (7.9 miles)
- Augusta 48 min (38.1 miles)
PRICING:
Discount Cash Price: $97,999 + $599 document fee, or alternatively…
Owner Financing Price: $103,999 – with $20,800 down ($599 doc fee + $20,201 in equity) Plus approx $1k in title costs.
Payment as low as $1,389/mo! NO prepayment penalties.
-
-
- We are a small family business and can be flexible. We’re happy to fit any budget that meets our minimums. Our owner, Dave Denniston, enjoys making land ownership available to families like yours who want to make memories for years to come. We can owner-finance with a land contract. We can transfer with a warranty deed and guarantee a clean title.
-
📞 Questions? Call Kristy at (720) 336-1232 or email Sales@genfamland.com
-


















