Settle into this wooded 0.56 Acres in Catawissa, MO! With city water available, power nearby, perc test done, and paved road access, it’s ready for your next chapter.
And the best part? You’re just minutes from schools, shops, and parks, everything a family needs to feel right at home.
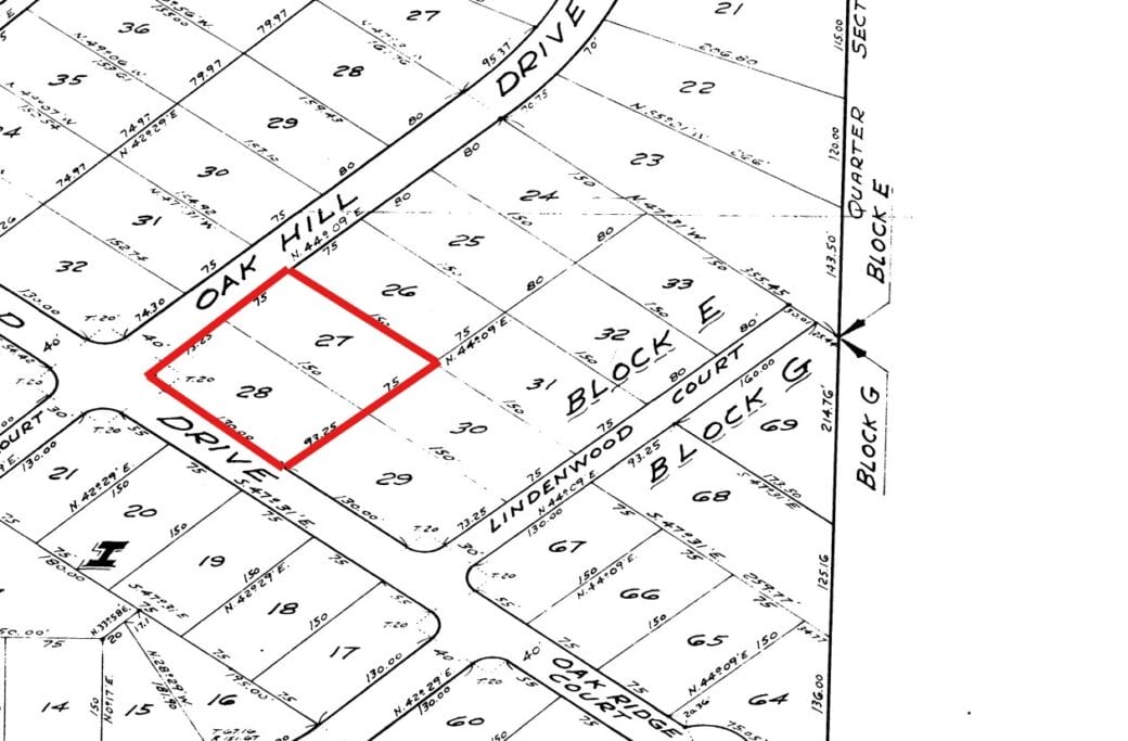
Want OVER an Acre? You’re in LUCK….. The adjoining 2 lots are also available, so you can have 4 lots totaling 1.12 acres
Check it out here:
https://genfamproperties.com/listing/2010103002124000-2010103002123000/
Family-Friendly Setting
Wooded lot that give you shades and privacy while still being in a neighborhood setting. It’s a quiet street that is safe for kids to ride bikes, play outside, and grow up with the kind of freedom country life allows.
Convenient Location
Located just off Highway NN, this lot keeps you close to everyday essentials. Quick access to Catawissa town center means groceries, gas, and errands are only minutes away. Plus, power is nearby at 3846 Oak Hill Dr, making it easier to get started with your build.
Why Choose This Land?
✔ Good Schools Nearby – Kids can attend Nike Elementary, one of Missouri’s highly rated schools.
✔ Safe & Clean Neighborhood – A well-kept area where families take pride in their homes.
✔ Outdoor Fun Close By – Robertsville State Park is just a short drive for hiking, fishing, and weekend picnics.
✔ Easy Commute – Pacific, St. Clair, and even St. Louis are within reach for work or weekend plans.
Close to Everything Families Need
1️⃣ Nike Elementary School – Just minutes away, a top-rated place for kids to learn and grow
2️⃣ Robertsville State Park – 12 minutes for trails, fishing, and family time outdoors
3️⃣ Catawissa Town Center – 7 minutes for groceries and daily errands
4️⃣ Pacific, MO – 10 minutes for bigger stores, restaurants, and shopping
5️⃣ St. Louis – Less than an hour for work, sports games, or family outings
HOA & Zoning
This property is in a Single-Family Residential area under the City and Village Tax Office HOA. That means it’s designed for permanent homes—not multi-family, commercial, or temporary living.
👉 The HOA mainly helps keep the neighborhood clean, quiet, and attractive, so it’s a great fit if you’re planning a family home and want a well-kept community.
- • Minimum home size: 1,800 sq ft
- • Setbacks: 25 ft front, 10 ft sides, 20 ft rear
- • Height limit: 35 ft
- • No mobile homes, RV living, or camping (tents, trailers, and temporary shelters not allowed)
- • Pets: Cats, dogs, small birds, or fish are welcome; no poultry, livestock, or breeding setups
- • Community rules: No loud noise, junk, or abandoned vehicles. Yards should be maintained. Construction must be finished within 12 months once started.
- • Signs & fences: Only HOA-approved “For Sale” or “For Rent” signs allowed. Street-facing chain-link fences are often restricted.
A Smart Move
With two lots combined, you’ll have plenty of room for a family home, a big backyard, and even a garden or firepit. This is a chance to put down roots in a welcoming neighborhood where kids can grow, families can thrive, and you’ll always feel connected.

📸 Check out the photos & drone video below, and start picturing your family’s forever home right here in the woods of Catawissa.
Curious about the buying process? Check out this YouTube video!!!
PRICING:
Discount Cash Price: $9,799 + $399 document fee, or alternatively…
Owner Financing Price: $10,799 – with $1,620 down ($399 doc fee + $1,221 in equity)
Payment as low as $199/mo! NO prepayment penalties.
We are a small family business and can be flexible. We’re happy to fit any budget that meets our minimums. Our owner, Dave Denniston, enjoys making land ownership available to families like yours who want to make memories for years to come. We can owner-finance with a land contract. We can transfer with a warranty deed and guarantee a clean title.
📞 Questions? Call Kristy at (720) 336-1232 or email Sales@genfamland.com















